Oct
28
Written by:
Salty_Dog
10/28/2021 12:35 PM
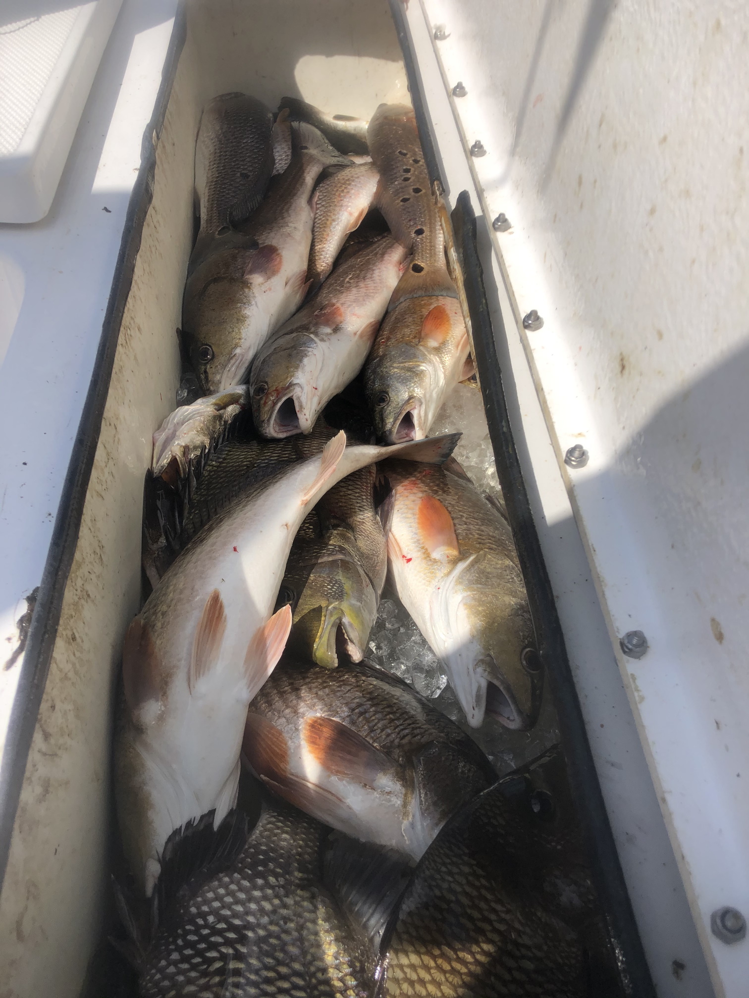
Captain Corey has been finding the fish close in the marsh this fall with both specks and redfish!





Come on down and get out on the water with us! Salty Dog Charters is a redfish, speckled trout, sheepshead, flounder, black drum. snapper, cobia, amberjack and tuna charter right at the edge of New Orleans and the french quarters! Just 25 miles from New Orleans you can hope on a charter boat with us and go on the fishing tour of a lifetime! Come enjoy New Orleans fishing at its best and charter with Salty Dog! We will do out best to make your tour the best day fishing in the New Orleans area you can find!
Tags: